
Sezon 3
Bölümler

Sugar
Once crucial for survival, sugar now poses a health risk. Is there a way to satisfy our primeval craving for sweetness in a healthy, balanced way?

Royalty
How do monarchies survive when they no longer wield power? By presenting a royal fairy tale that may not reflect the reality of the past — or present.

Flags
A flag can unite, divide and terrorize. Explore how a piece of cloth transformed into a powerful symbol of both love and hate, freedom and oppression.

Dogs
Who's a good dog? They all are! From puppy-dog eyes to feats of heroism, see how canines evolved into humankind's best friends and sources of pure love.

The End of Oil
Oil led to huge advancements - and vast inequities. As the planet warms, why is it so hard to turn away from fossil fuels, and can it be done in time?

Chess
For centuries, chess has captured hearts and minds — and pawns — and it's more popular than ever. What makes this ever-changing board game so special?

Your Skin
Don’t panic, but our skin plays host to trillions of bacteria, fungi, mites and other microscopic guests. Go beyond skin-deep with our largest organ.

Apologies
Apologizing is tough, and in this era of public mea culpas, forgiveness isn't guaranteed. What makes for a good apology, and why does it hold such power?

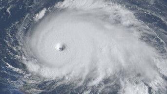
Hurricanes
As the planet warms, hurricanes could become even more dangerous and destructive.

Plastic Surgery
The Instagram face. A shapely posterior. Cosmetic surgery can make the latest beauty trends a reality. Explore its origins and effects, inside and out.

Dance Crazes
From the waltz to voguing, dance crazes have connected people throughout history. But when a dance catches on, who gets the credit — and compensation?

Time
Time flies… sometimes. Its passage can seem to speed up and slow down. Why do we experience time the way we do, and how do we take back some control?

Country Music
Dirt roads. Pickup trucks. Hip-hop? As the borders around country music shift, who decides what defines the popular genre, and who gets to be a star?

Fairy Tales
Fairy tales have survived thousands of years for a reason. Explore their far-flung history and how the stories speak to fundamental human concerns.